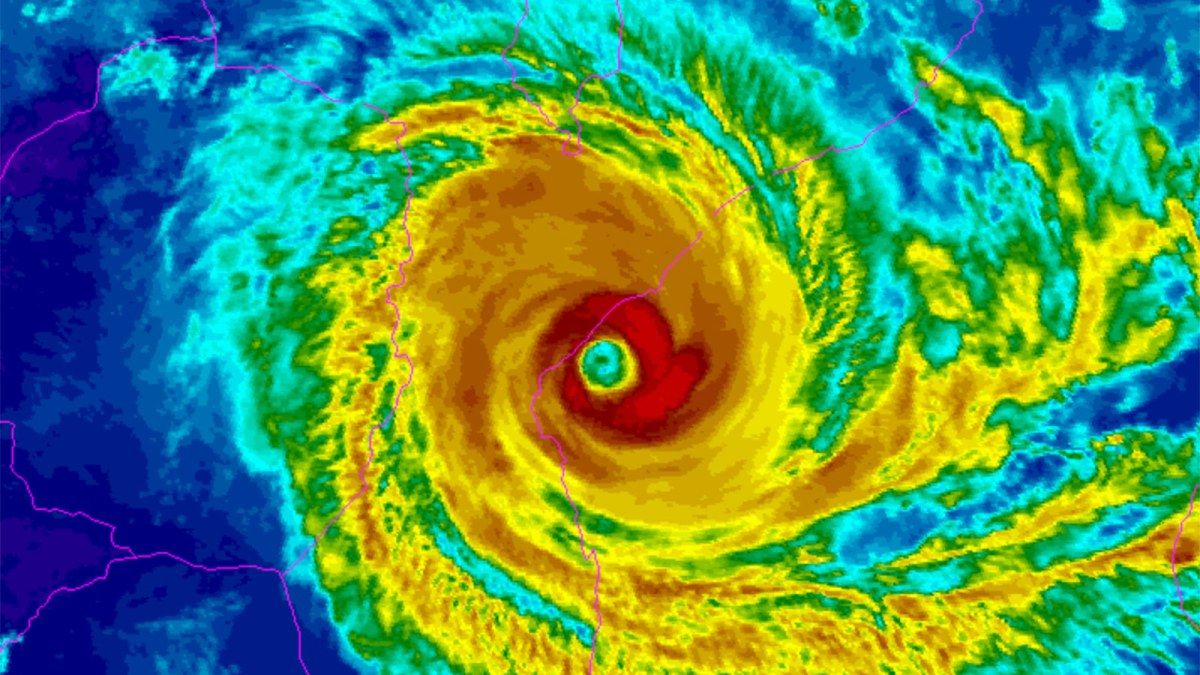
O Ciclone tropical Intenso IDAI, de categoria 4 (numa escala de 5), continua a fustigar o Centro de Moçambique. As chuvas fortes que desde quinta-feira (14) caem deixaram a cidade da Beira inundada e há registo de muitas infra-estruturas danificadas pelos ventos muito fortes que se continuam a registar. Não há energia eléctrica devido a inundação da sub-estação da Munhava e as comunicações por telefone ou internet estão cortadas. Não há registo oficial de vítimas mortais.
Uma actualização do Instituto Nacional de Meteorologia (INAM) na manhã desta sexta-feira (15) indica que o IDAI está a enfraquecer, “mas mantendo se como Ciclone Tropical de categoria 3, com ventos de 140 quilómetros por hora e rajadas até 160 quilómetros por hora e espera se que até as14 horas baixe a intensidade dos ventos para 70 quilómetros por hora e mantendo o seu movimento como Depressão Tropical em direção a província de Manica”.
De acordo com o INAM este sistema já está influenciar o estado de tempo nas províncias da Zambézia (distritos de Chinde, Luabo, Inhassuge e Mopeia), Sofala (todos os distritos), Manica (todos os distritos), Tete (distritos de Changara, Mutarara, Doa, Marara, Cahora Bassa, Moatize, Chiuta e Cidade de Tete) e Inhambane (distritos de Govuro, Inhassoro, Vilankulo e Massinga) com ventos muito fortes (140 a 160 quilómetros por hora), acompanhados por chuvas muito fortes ( mais de 150 milímetros em 24 horas) e trovoadas severas.
Na cidade da Beira o Ciclone IDAI está a causar inundações nos bairros: Alto Manga, Ndunda, Manga Mascarrenha, Vaz, Munhava, Macurrungo, Chipangara, Chaimite (Praia Nova), Maraza, Pioneiros, Matacuane, Mananga, Chota, Muhava, Esturo, Matador, Vila Massane, Maganza, Inhamizua, Chingussura, Nhaconjo, Pontagea e Macuti onde se pode ver também a destruição de habitações e infra-estruturas públicas causada pelos ventos fortes.
Fonte da Administração da Electricidade de Moçambique revelou ao @Verdade que a falta de energia deriva da inundação da sub-estação da Munhava, “não podemos ligar”!
As conexões de telecomunicações com o Centro de Moçambique também estão limitadas.
As autoridades não reportaram, ainda, nenhuma vítima mortal da acção directa do Ciclone IDAI.
